🇬🇧 🇩🇪 📝 Predaj Oglas (Besplatno!)   Prijava

Realitica oglasi

Traži u Napredno

Prodajem Građevinsko Zemljište, Kumbor

Vrsta: Prodajem Građevinsko Zemljište
Područje: Herceg Novi
Lokacija: Kumbor
Od Mora (m): 200

Opis: KUMBOR, HERCEG NOVI, CRNA GORA

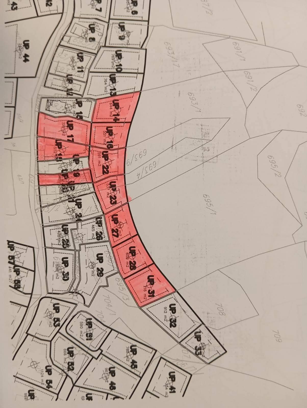
PRODAJEM URBANIZOVANO ZEMLJIŠTE 6225 M2 ZA INVESTICIJU ZA IZGRADNJU 11 LUKSUZNIH STAMBENIH OBJEKATA SA POSLOVNIM PROSTORIMA (NPR. RESTORAN, BUTIČNI HOTEL) ILI VILA SA BAZENOM U KUMBORU + OKO 1600 M2 GORE PREDVIDJENOG PUTA PO DUP-u. ZEMLJIŠTE PRUŽA PANORAMSKI POGLED NA MORE I MIR. BLIZU JE SVE POTREBNE INFRASTRUKTURE

PONUDA OBUHVATA:

UP27 - 500 M2 BRUTO VELIČINA ZGRADE SE MOZE GRADIT

UP31 - 500 M2 BRUTO VELIČINA ZGRADE SE MOZE GRADIT

UP28 - 500 M2 BRUTO VELIČINA ZGRADE SE MOZE GRADIT

UP22 - 472 M2 BRUTO VELIČINA ZGRADE SE MOZE GRADIT

UP20 - 276 M2 BRUTO VELIČINA ZGRADE SE MOZE GRADIT

UP17 - UTU U POSTUPKU

UP18 500 M2 BRUTO POVRSINA OBJEKTA

UP14 500 M2 BRUTO POVRSINA OBJEKTA
...

Država oglašivača: SI





Oglas Broj: 3722717
Postavljeno: 15 Dec, 2025
Zadnja Promjena: 15 Dec, 2025
Tags: Nekretnine Kumbor | Prodaja Građevinskih Zemljišta Kumbor | Nekretnine Herceg Novi | Prodaja Građevinskih Zemljišta Herceg Novi

Kontakt Forma



Prijavi Oglašivača

Kliknite na 'Pošalji' ako ovaj oglašivač koristi lažni Booking ili Airbnb ili ako je tražio IBAN uplatu

Šaljemo poruku. Molim pričekajte ...

Vaša poruka je poslana.

Nismo uspjeli poslati poruku. Molim pokušajte ponovno.

Molimo ispunite sva polja u formi.